Hurricane Melissa hits Cuba after turning Jamaica into a "disaster area"
Havana, Cuba - Hurricane Melissa made landfall in Cuba early on Wednesday after ripping a path of destruction across Jamaica, which authorities have designated a "disaster area."
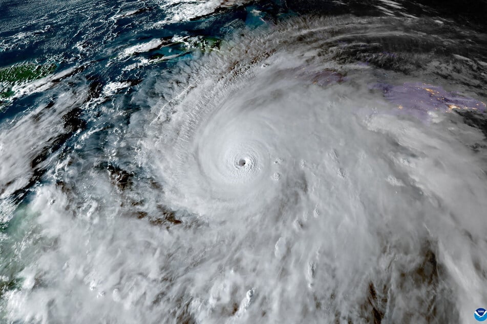
The National Hurricane Center (NHC) said Melissa, which it described as an "extremely dangerous hurricane," had weakened to a Category 3 storm before it made landfall in Santiago de Cuba province on the island's southern coast.
It hit with maximum sustained winds of approximately 120 miles per hour, the NHC said, after fluctuating between Category 3 and Category 5, the highest on the Saffir-Simpson scale.
Windspeeds of the storm, which is now about 60 miles west of Guantanamo, have eased slightly to a maximum of 115 miles per hour, but it was still causing "flooding rains and dangerous storm surge."
Curtains of rain, dark skies, and raging seas lashed Cuba, as local authorities declared a "state of alert" in six eastern provinces.
Authorities in Haiti, east of Cuba, ordered the closure of schools, businesses and government offices on Wednesday.
Cuban authorities reported that about 735,000 people have been evacuated so far.
"It will be a very difficult night for all of Cuba, but we will recover," Cuban President Miguel Diaz-Canel said on social media platform X.
Melissa among strongest-ever hurricanes to hit Jamaica
Hurricane Melissa hit Jamaica as a Category 5 storm on Tuesday with winds of nearly 185 miles per hour, making it the most powerful tropical storm recorded this year globally, according to an AFP analysis of US weather data.
The Category 5 hurricane is the most potent in terms of wind speed and pressure, and surpassed typhoon Ragasa, which lashed east Asia in September and had winds of 166 miles per hour, data from the US National Oceanic and Atmospheric Administration (NOAA) showed.
It is also the most powerful ever to hit Jamaica since records began and took hours to cross the country, first weakening and then intensifying again.
Jamaican Prime Minister Andrew Holness declared the island a "disaster area" and authorities warned residents to remain sheltered because of continued flooding and the risk of landslides.
The scale of Melissa's damage in Jamaica was not yet clear. A comprehensive assessment could take days because much of the island was still without power, with communications networks badly disrupted.
Government minister Desmond McKenzie said several hospitals had been damaged, including in Saint Elizabeth, a coastal district he said was "underwater."
Jamaican health authorities also urged on Tuesday to be vigilant of crocodiles that may have been displaced in the storm.
Jamaica's climate change minister told CNN that Melissa's effect was "catastrophic," citing flooded homes and "severely damaged public infrastructure" and hospitals.
Climate change worsening extreme weather events
Broad scientific consensus says human-driven climate change is responsible for intensified storms such as Melissa, which are increasingly frequent in the region and bring higher potential for destruction and deadly flooding.
"Human-caused climate change is making all of the worst aspects of Hurricane Melissa even worse," said climate scientist Daniel Gilford.
The UN is planning an airlift of some 2,000 relief kits to Jamaica from a supply station in Barbados once air travel is possible.
Assistance is also planned for other affected countries, including Cuba and Haiti, UN spokesperson Stephane Dujarric told journalists.
Cover photo: REUTERS
